101号室

写真を見る
8.9万円 (共益費 6,600円)
- 敷
- -
- 礼
- 1ヶ月
- 保
- -
- 償
- -
公開
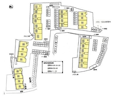
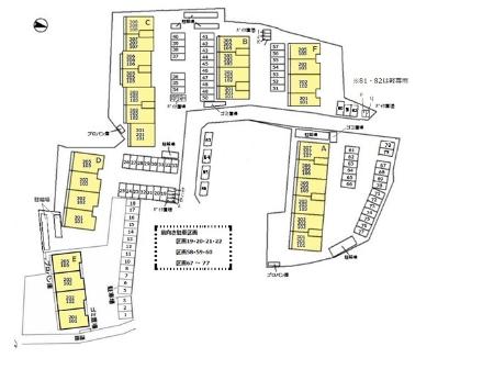
匠乃館 Eは、埼玉県入間市鍵山にある2階建の賃貸マンションです。築年月は、2016年1月で現在築10年になります。最寄り駅の西武池袋線・豊島線入間市駅から徒歩20分です。
この建物に9件の情報更新日:
取り扱う不動産会社・店舗が3社、募集中の部屋が9部屋あります。

写真を見る














8.9万円 (共益費 6,600円)
公開

写真を見る














8.9万円 (共益費 6,600円)
公開

写真を見る














8.9万円 (共益費 6,600円)
公開

写真を見る
















8.4万円 (共益費 6,600円)
公開

写真を見る
















8.4万円 (共益費 6,600円)
公開

写真を見る
















8.4万円 (共益費 6,600円)
公開

写真を見る













9.6万円 (共益費 6,600円)
公開

写真を見る













9.6万円 (共益費 6,600円)
公開

写真を見る













9.6万円 (共益費 6,600円)
公開
20代 / 女性 / 元住人
駅にはいなげやのほか、パン屋、日高屋、マクドナルド、ドトール、フジカラ、ポポラマーマがあり、近くにはカレー、バルもある。
40代 / 女性 / 元住人
まるひろ百貨店の地下の食品売り場は、魚や果物が美味しかったです。コーヒー豆専門店があったので、よく買っていました。今もあるかは、わかりませんが。
※口コミに関するお問い合わせはこちらからお願いします。